3750名加人恐慌!史上最强的飓风登陆 多人死亡
当地时间周二(10月28日)下午,史上最强飓风之一“梅丽莎”(Melissa)强势登陆牙买加,成为大西洋盆地有记录以来最强的飓风之一。
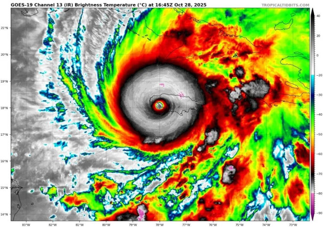
目前,牙买加全岛进入紧急避难状态!强风暴雨、风暴潮齐袭,风速高达295公里/小时,居民被迫躲进避难所。
气象专家警告:不要被短暂平静迷惑,风暴眼过去后更危险!国际援助已紧急调配,全球关注牙买加的生死时刻。
迄今为止,已报告多人死亡。当地居民已被警告在室内避难,预计风速将达到 185 英里/小时,并可能引发洪水和巨浪。


飓风预计将从牙买加南部圣伊丽莎白教区进入,向北穿越至圣安教区后进入古巴。随后,风暴将继续向巴哈马地区推进,多个地区已发布飓风警告,包括古巴的格兰玛省、圣地亚哥-德古巴省、关塔那摩省、奥尔金省和拉斯图纳斯省,以及巴哈马东南部和中部地区。

民众紧急避险
国家飓风中心呼吁牙买加居民留在安全的避难所内,不要随意外出:“在飓风眼通过期间,不要冒险外出,风力会在眼墙背面迅速增强”。NHC建议,将尽可能多的墙体置于身体与外界之间,待在无窗的内部房间,并可用床垫和头盔增强防护。
尽管当局已开放130多个避难所,但截至周一晚,仅有不到1000人响应疏散令。牙买加官员对此表示担忧,并敦促民众积极前往避难。部分地区如金斯敦以西的老港社区,约有200人挤进避难所。

飓风影响深远
飓风猎人(Hurricane Hunters)空军团队曾飞入梅丽莎飓风眼,记录下惊险画面。

气象学家表示,飓风强度之大可能在半代人内改变牙买加的自然景观,包括大量植被被连根拔起。

加拿大气象专家预测,梅丽莎将持续向北移动,可能间接影响加拿大东部地区。
预计周五,来自美国东北部的低压系统可能吸入梅丽莎带来的热带水汽,导致大西洋省份以及安大略和魁北克部分地区出现强风和暴雨。

加拿大外交部长阿尼塔·阿南德表示,加拿大已准备提供人道主义援助,并密切关注局势。联合国国际移民组织也正从巴巴多斯物流中心调拨太阳能灯、毯子、帐篷和发电机等物资前往牙买加。非营利组织Direct Relief则已在巴拿马和加州准备药物及医疗用品,以便飓风过后迅速支援。
古巴东部省份奥尔金等地当局已紧急疏散超过20万人,并安排交通运输至安全地点。副总理马丁内斯形容此次飓风“极度危险,前所未有”。
美国国家飓风中心主任布伦南表示:“这是一个非常危险的局面,高山地区风速可能达到每小时321公里,核心区建筑几乎难以幸免”。
牙买加旅游局(JTB)加拿大地区主管安吉拉·贝内特 (Angella Bennett)表示,目前约有25.000名游客在牙买加,其中约15%,约3.750名游客来自加拿大。
贝内特说,许多客人仍然在按照飓风规程运营的酒店和度假村避难,而其他人则被转移到紧急避难所。
一些度假村在所有客人成功撤离后完全关闭。
贝内特说,在蒙特哥湾,客人们被转移到会议中心避难所,以便他们更靠近机场,以便在风暴过后立即撤离。
不过虽然所有酒店都应该设有安全区域,以便在飓风紧急情况下为客人提供避难所,但一些游客却收到了截然不同的指导。

Reddit 用户 erish30 在Reddit 的一篇帖子中写道:“瑞典游客被困在蒙特哥湾瑞吉酒店(Riu Reagge Montego Bay)。我恨自己没能第一时间赶上飞机。酒店工作人员很冷静,我们接到的命令是这段时间待在卫生间里”。
周日(10 月 26 日),加拿大政府修改了对牙买加的旅行警告 ,警告加拿大人“避免前往”该岛。
有记录以来最强的飓风
今天早些时候,气象学家确认梅丽莎的强度已超过2005年的卡特里娜飓风。
梅丽莎于美国东部时间周四下午1点左右袭击牙买加海岸。这场五级飓风以每小时185英里(约290公里)的风速袭击了新希望镇,这是有记录以来的最强风力。
这场破纪录的风暴即将移至牙买加,带来可怕的狂风、洪水和巨大的风暴潮。
风暴眼正以约9英里/小时(约14公里/小时)的速度向东北偏北方向移动。

2005 年,卡特里娜飓风袭击新奥尔良时,造成了约 1250 亿美元(940 亿英镑)的损失,并造成 1392 人死亡。
希望平安!
